- 新宿 不動産 TOP
- 新築一戸建てをエリアから探す
- 中野区
- 丸山
- 中野区丸山1丁目 新築分譲住宅 全3棟
新築一戸建て
中野区丸山1丁目 新築分譲住宅 全3棟
情報更新日:2026/03/02 次回更新予定日:2026/03/16 取引条件有効期限:2026/03/16
所在地東京都中野区丸山1丁目[周辺地図]
交 通西武新宿線「野方」駅徒歩12分





◆ ◇おすすめPOINT◇ ◆
POINT1. 西武新宿線「野方」駅・「沼袋」駅を利用可能な立地!
POINT2. 小学校徒歩2分、中学校徒歩4分!徒歩3分圏内に教育施設・スーパー・公園が揃う、お子様がいるご家庭も安心・便利な住環境♪
POINT3. 南向きで陽当たり良好の住宅♪幅広道路のため駐車も楽々◎
POINT4. 浴室暖房乾燥機や食器洗浄乾燥機、スマートキーなど、便利な住宅設備あり♪
◆ ◇ ◆ ◇ ◆ ◇ ◆
POINT1. 西武新宿線「野方」駅・「沼袋」駅を利用可能な立地!
POINT2. 小学校徒歩2分、中学校徒歩4分!徒歩3分圏内に教育施設・スーパー・公園が揃う、お子様がいるご家庭も安心・便利な住環境♪
POINT3. 南向きで陽当たり良好の住宅♪幅広道路のため駐車も楽々◎
POINT4. 浴室暖房乾燥機や食器洗浄乾燥機、スマートキーなど、便利な住宅設備あり♪
◆ ◇ ◆ ◇ ◆ ◇ ◆
担当スタッフより
- 物件担当より
- 西武新宿線「野方」駅・「沼袋」駅を利用可能な立地!
小学校徒歩2分、中学校徒歩4分!徒歩3分圏内に教育施設・スーパー・公園が揃う、お子様がいるご家庭も安心・便利な住環境♪
お気軽にお問い合わせください!
フリーダイヤル『0120-76-1177』お待ちしております!
各棟情報
物件詳細情報
物件No.20000442477
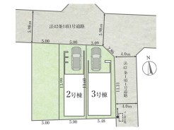
| 所在地 | 東京都中野区丸山1丁目 | ||
|---|---|---|---|
| 交通 | 西武新宿線「野方」駅徒歩12分 西武新宿線「沼袋」駅徒歩15分 |
||
| 間取 | 2SLDK~3LDK + WIC+SIC | ||
| 土地面積 | 69m² ~ 69.07m² 実測 | ||
| 建物面積 | 108.93m² ~ 109.75m² 実測 | ||
| 販売戸数 | 2戸 | 総戸数 | 全3戸 |
| 構造・規模 | 木造 3階建て | 築年・入居 | 2026年4月 |
| バルコニー | 南向き | 建物現況 | 建築中 |
| 建築確認番号 | 第25UDI1W建00747号、他 | 駐車スペース | 1台(カースペース) |
| 引渡時期 | 相談 | 地目 | 宅地 |
| 用途地域 | 第一種低層住居専用地域 | 建ぺい率 | 60% |
| 容積率 | 150% | 都市計画 | 市街化区域 |
| 権利種類 | 所有権 | 接道 | 北側5.98M公道に接道 東側4M公道に接道 |
| 小学校区 | 中野区立緑野小学校(110m) | 中学校区 | 中野区立緑野中学校(300m) |
| 取引態様 | 媒介 | ||
| 設備 | 公営水道、本下水、都市ガス | ||
| その他制限事項 | 高度地区、準防火地域 | ||
| 備考・制限等 | ☆住設あんしんサポート 対応物件☆ 最長10年間何度でも利用可能です!! 住宅ローンのご相談も随時受付中です。どのくらいの物件が購入できるのか。 内覧したい物件は購入できるのか。月々のローンはいくらくらいになるのかなど、お気軽にご相談ください♪ ご来店後は商談スペースから見える場所にキッズスペースを用意しております♪ お子様と一緒にご来店ください♪ |
||
こだわり項目
角地整形地緑豊かな住宅地閑静な住宅地前面棟無LDK15帖以上省エネ・エコ住宅BELS/省エネ基準適合(認定書あり)南向き全室2面採光3面採光床下収納全居室収納2面以上バルコニー複層ガラス設計住宅性能評価付建設住宅性能評価付(新築時)床暖房浄水器システムキッチンカウンターキッチントイレ2ヶ所温水洗浄便座節水型トイレシャワー付洗面台浴室乾燥機浴室暖房浴室1坪以上浴室に窓全居室フローリングリビング階段ウォークインクローゼットシューズインクローゼットバリアフリー仕様TVモニタ付インターホンスマートキー24時間換気システム小学校800m以内保育園・幼稚園800m以内スーパー400m以内公園800m以内陽当り良好通風良好フラット35Sに対応
- ※価格は物件の代金総額を表示しており、消費税が課税される場合は税込み価格です。(1,000円未満は切り上げ。)
税率は引き渡し時期により異なりますので、各物件の詳細につきましてはお問い合わせください。 - ※敷地権利が借地権のものは価格に権利金を含みます。
- ※制作中に内容が変更される場合もありますので、あらかじめご了承ください。
- ※購入の前には物件内容や契約条件についてご自身で十分な確認をしていただくようにお願いいたします。
- ※完成予想図はいずれも外構、植栽、外観等実際のものとは多少異なることがあります。
- ※CG合成の画像の場合、実際とは多少異なる場合があります。
周辺地図
周辺施設一覧
- ショッピングセンター
- スーパー
- コンビニ
- ドラッグストア
- ホームセンター
- 飲食店
- その他店舗
- 商店街
- 大学
- 専門学校
- 高校・高専
- 中学校
- 小学校
- 保育園
- 幼稚園
- 公民館・児童館
- 病院
- 郵便局
- 役所
- 図書館
- 金融機関
- 警察・消防
- 趣味・娯楽施設
- 公園・運動施設
- 周辺の街並み
- 駅
- その他
お問い合せ先
- リプラス株式会社
- お電話でのお問い合わせは
0120-76-1177「ホームページを見た」とお問い合わせください - 東京都渋谷区本町3-13-12 渋谷本町ビル 7F
- 営業時間:AM9:00〜PM8:00
- 定休日:毎週水曜日
- 免許番号:東京都知事(1) 第110445号
- 新宿 不動産 TOP
- 新築一戸建てをエリアから探す
- 中野区
- 丸山
- 中野区丸山1丁目 新築分譲住宅 全3棟





















